조황관리HOME / 조황관리 / 상세정보

제목 : [VIP통영하나피싱]무늬팁런 사이즈 마릿수좋습니다 굿
등록일 : 2024-10-01
안녕하십니까 통영하나피싱입니다 
오늘도 무늬팁런 출항하엿습니다
포인트 도착과동시에 얼굴을비추네요
그러나 낱마무리에 이동이동이 많앗네요

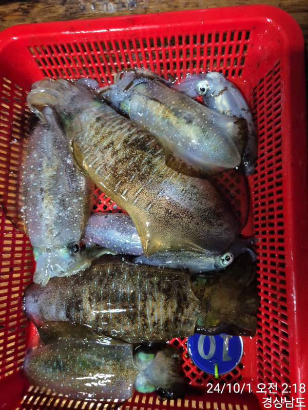
가는곳마다 사이즈좋은놈 아닌놈도잇엇지만
1인20수이상하신분도 계시고 총114수로마무리하엿습니다
다만 조과편차가 심한하루엿습니다

오늘찾아주신 조사님들 미흡한점있엇음에도 밝게 철숫길까지 즐낚하여주셔서
감사합니다 다음에 더나은 조황과 서비스로보답하겟습니다

TimePhoto_20240930_192920.jpg


TimePhoto_20240930_202159.jpg


TimePhoto_20240930_202216.jpg


TimePhoto_20240930_202803.jpg


TimePhoto_20240930_211354.jpg


TimePhoto_20241001_003028.jpg


TimePhoto_20241001_005202.jpg


TimePhoto_20241001_005954.jpg


TimePhoto_20241001_021320.jpg


TimePhoto_20241001_021357.jpg


TimePhoto_20241001_021439.jpg


TimePhoto_20241001_021535.jpg


TimePhoto_20241001_021656.jpg


TimePhoto_20241001_021740.jpg


TimePhoto_20241001_021748.jpg


TimePhoto_20241001_021755.jpg


TimePhoto_20241001_021802.jpg


TimePhoto_20241001_021847.jpg


TimePhoto_20241001_021917.jpg


TimePhoto_20241001_021939.jpg


TimePhoto_20241001_022007.jpg


TimePhoto_20241001_022018.jpg


TimePhoto_20241001_022055.jpg


TimePhoto_20241001_022110.jpg

 


*뽈락.한치.갈치쿨러 30L이하 대장쿨러 절대금지* 

*당일취소가많아 2분이상시 무조건선입금합니다 이점양해바랍니다*
*신분증 꼭지참참하세시요* 

*선내 음주금지* 

*갈치출항:오후5시까지~담날오전6시~* 

*외줄생미끼출조:오전06~15:00철수* 

*밤뽈락 오후4:30자리추첨*
*병행[열기&뽈락]오후1시까지2시출항~12시철수* 

*한치출항 오후4시~오전3시30분*
*문어출항새벽5시*

쭉~기상만좋으면출항합니다

~쭉~자리여유잇습니다

band.us/@hanafishing11


*** 통영 하나피싱 예약 안내 ***


예약문의 : 

 - 매니저 : 010-4736-8737

 - 선장 : 010-9324-5252
오시는길 : 경남 통영시 산양읍 산양일주로 266 (폴라리스피싱)

모바일.gif 

Top